Resultaten en vervolgacties vko's Oldenzaal, Hengelo en Almelo

0 3219
11 dec

Gisteren en vandaag waren de visvijver aan de Harplaan in Oldenzaal, de Hasseleres te Hengelo (O) en de vijver in de Aalderinkshoek te Almelo de decors van visserijkundige onderzoeken door het team van Sportvisserij Nederland. Alle visserijkundige onderzoeken werden uitgevoerd ter voorbereiding op een aantal pilotprojecten die binnenkort van start gaan. In Oldenzaal wordt een proef met het uitzetten van extra vis en het bijvoeren van vis uitgevoerd. In Hengelo en Almelo worden de vijvers bij wijze van proef bekrijt om de baggerlaag te verminderen.



Visbestand Oldenzaal goed hersteld

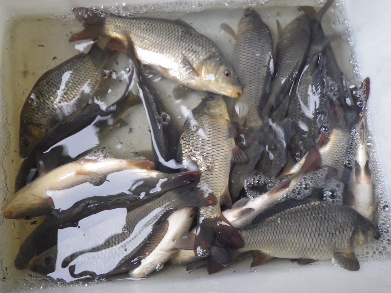
Gisteren voerde de onderzoeksploeg van Sportvisserij Nederland een visserijkundig onderzoek uit in de bergingsvijver aan de Harplaan in Oldenzaal. Zo'n 5 jaar geleden is de vijver leeggevist i.v.m. een baggerproject en het onderzoek moet uitwijzen hoe het nu met de visstand gesteld is. Uit het onderzoek is gebleken dat het visbestand zich goed heeft hersteld en de vis in redelijk goede conditie is. De vangst bestaat uit verschillende jaarklassen en er is vooral veel karper gevangen. Daarnaast zijn o.a. baars, brasem, blankvoorn, ruisvoorn, enkele riviergrondels en 1 vetje gevangen. Het is de mannen van de onderzoeksploeg in de middag ook nog gelukt om een zevental snoeken boven water te krijgen.


Pilotproject bijvoeren van vis

En nu? Bij wijze van proef wordt morgen 200 kg spiegelkarpertjes van 800 tot 1.000 gram uitgezet in de vijver. De vis zal worden bijgevoerd door vrijwilligers van de O.H.V uit Oldenzaal, zodat de vis gezond en in goede conditie gehouden wordt. Deze proef vindt zijn oorsprong in België en Engeland waar al enkele jaren op deze manier de visstand onderhouden wordt, speciaal voor het vissen op kleine karper met de vaste stok of de feederhengel. Landelijk worden m.m.v. Sportvisserij Nederland deze proeven gedaan op afgesloten wateren.
Om de bevisbaarheid van de vijver nog verder te vergroten, worden nog dit jaar extra visstekken gemaakt en worden de bestaande visstekken nog beter toegankelijk gemaakt.



Prima viswateren in Hengelo en Almelo

Vanmorgen werd goed gevangen in Hengelo. De vangst bestond voornamelijk uit mooie blankvoorns (17-28 cm), ruisvoorns (10-23 cm) en brasems (35-45 cm). Verder kwamen wat karpers, snoeken en baarzen in het net en een enkele zonnebaars, riviergrondel en kolblei. Een prima water om in de stad Hengelo te vissen. In de Almelose vijver is vanmiddag een mooi blankvoorn- en ruisvoornbestand aangetroffen. Verder werd veel jonge karper gevangen, waarschijnlijk voortgekomen uit natuurlijke paai. Deze vijver is ideaal voor het vissen met de vaste stok.


Coccolietenkrijt moet bagger verminderen

Beide vijvers bevatten dus een mooi visbestand, dit kan alleen maar beter worden als de baggerlaag wat minder wordt. Aanleiding voor dit visserijkundig onderzoek is namelijk een proef met coccolietenkrijt, waardoor het organisch materiaal op de bodem van de plas sneller verteert en daardoor de baggerlaag inklinkt. Nu de visstand bekend is, kunnen binnenkort de vijvers bekrijt worden. Het Waterschap Vechtstromen zal voor en na het bekrijten over de hele periode van de proef de waterkwaliteit zeer uitgebreid monitoren. Na verloop van tijd zullen opnieuw visserijkundig onderzoeken uitwijzen hoe het dan met de visstand gesteld is en of de proef geslaagd is.
Gerelateerde berichten
Facebook reacties

Om u de beste gebruikerservaring te kunnen bieden, gebruiken wij cookies. Voor meer inhoudelijke informatie en het onderscheid die wij hier in maken, verwijzen wij u door naar ons cookiebeleid.

Om u de beste gebruikerservaring te kunnen bieden, gebruiken wij cookies. Voor meer inhoudelijke informatie en het onderscheid die wij hier in maken, verwijzen wij u door naar ons cookiebeleid.